FH- und RS- Türen
Hegholt Quartier, Hamburg
Um Ihr Angebot auszufüllen und abzugeben, . Erfahren Sie hier mehr darüber, wie Sie mit Cosuno neue Ausschreibungen finden können.

Angebot einreichen

bis

Leistungsverzeichnis

OZ
Beschreibung
Typ
Menge
Einheit
Einheitspreis EUR
Gesamtbetrag netto EUR
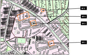
A. Allgemeine Projektbeschreibung BF 1 Das Projekt Quartiersentwicklung Hegholt im Hamburg ist ein Projekt der Richard Ditting GmbH & Co. KG im Auftrag der SAGA Unternehmensgruppe. Baufeld 1 ( LOS 1): Willy-Nissen Ring in Hamburg Bei der geplanten Bebauung handelt es sich um zwei vollständig unterkellerte 4-geschossige, getrennte Wohngebäude mit insgesamt 32 Wohneinheiten. Haus 1 wird über 2 Sicherheitstreppenhäuser und Aufzüge erschlossen. Das Haus verfügt über 20 Wohneinheiten. Haus 2 wird über ein Sicherheitstreppenhaus und Aufzug erschlossen. Das Haus verfügt über 12 Wohneinheiten. Insgesamt sind die 32 Wohneinheiten für 1-4 Personen geplant. Die Gebäude sind durch eine gemeinsame Tiefgarage mit 25 PKW-Stellplätzen verbunden. Die Zufahrt erfolgt über den Willy-Nissen-Ring. Die Gebäude erhalten eine Unterkellerung in Form einer weißen Wanne sowie eine Flachgründung mit Sohlplatte, Streifen- und Einzelfundamenten. Das Tragkonzept besteht aus einer Stahlbetonkonstruktion mit tragenden Kalksandstein- mauerwerkswänden und Stahlbetondecken. Nichttragende Innenwände werden in GK ausgebildet. Die Fassaden werden in den unteren 3 Etagen mit Klinkerriemchen ausgeführt. Die oberste Etage erhält eine WDVS-Fassade mit Putz sowie Blechlamelle. Im Übergangsbereich zwischen Riemchen und Putz sowie oberhalb der Fenster im 3.OG wird ein umlaufender WDVS-Fries mit Blechabdeckung ausgeführt. Kleinflächen seitlich der Fenster erhalten eine Verkleidung aus Blechlamellen. Fenster werden als weiße Kunststofffenster ausgeführt. Balkongeländer werden in Teilen als geschlossene Brüstungselemente sowie in Teilen aus Stahlprofilen mit zusätzlicher satinierter Verglasung erstellt. Die Gebäude erhalten Flachdächer mit extensiver Dachbegrünung. Das Tiefgaragendach erhält einen Gründachaufbau. Die Gebäude werden an eine Fernwärmeversorgung angeschlossen. Es wird eine statische Drainage vorgesehen.                                               Haus 1                                                      Haus 2
A. Allgemeine Projektbeschreibung BF 1
A. Allgemeine Projektbeschreibung BF 2 Das Projekt Quartiersentwicklung Hegholt im Hamburg ist ein Projekt der Richard Ditting GmbH & Co. KG im Auftrag der SAGA Unternehmensgruppe. Baufeld 2 ( LOS 2): Carl-Bremer Ring 1 - 9 in Hamburg Bei der geplanten Bebauung handelt es sich um zwei vollständig unterkellerte 4-geschossige, getrennte Wohngebäude mit insgesamt 32 Wohneinheiten. Haus 1 wird über 2 Sicherheitstreppenhäuser und Aufzüge erschlossen. Das Haus verfügt über 20 Wohneinheiten. Haus 2 wird über ein Sicherheitstreppenhaus und Aufzug erschlossen. Das Haus verfügt über 12 Wohneinheiten. Insgesamt sind die 32 Wohneinheiten für 1-4 Personen geplant. BF 2 wird ohne Tiefgarage ausgeführt. Die Gebäude erhalten eine Unterkellerung in Form einer weißen Wanne sowie eine Flachgründung mit Sohlplatte, Streifen- und Einzelfundamenten. Das Tragkonzept besteht aus einer Stahlbetonkonstruktion mit tragenden Kalksandstein- mauerwerkswänden und Stahlbetondecken. Nichttragende Innenwände werden in GK ausgebildet. Die Fassaden werden in den unteren 3 Etagen mit Klinkerriemchen ausgeführt. Die oberste Etage erhält eine WDVS-Fassade mit Putz sowie Blechlamelle. Im Übergangsbereich zwischen Riemchen und Putz sowie oberhalb der Fenster im 3.OG wird ein umlaufender WDVS-Fries mit Blechabdeckung ausgeführt. Kleinflächen seitlich der Fenster erhalten eine Verkleidung aus Blechlamellen. Fenster werden als weiße Kunststofffenster ausgeführt. Balkongeländer werden in Teilen als geschlossene Brüstungselemente sowie in Teilen aus Stahlprofilen mit zusätzlicher satinierter Verglasung erstellt. Die Gebäude erhalten Flachdächer mit extensiver Dachbegrünung. Die Gebäude werden an eine Fernwärmeversorgung angeschlossen.                                               Haus 1                                                      Haus 2
A. Allgemeine Projektbeschreibung BF 2
A. Allgemeine Projektbeschreibung BF 3 Das Projekt Quartiersentwicklung Hegholt im Hamburg ist ein Projekt der Richard Ditting GmbH & Co. KG im Auftrag der SAGA Unternehmensgruppe. Baufeld 3 ( LOS 3): Haldesdorfer Str. in Hamburg Bei der geplanten Bebauung handelt es sich um ein vollständig unterkellertes 5-geschossiges, punktförmiges Wohngebäude mit insgesamt 15 Wohneinheiten ( nur Haus 1 ) Das Haus wird über ein Sicherheitstreppenhaus mit einem Aufzug erschlossen, Ausführung ohne Tiefgarage Das Gebäude erhält eine Unterkellerung in Form einer weißen Wanne sowie eine Flachgründung mit Sohlplatte, Streifen- und Einzelfundamenten. Das Tragkonzept besteht aus einer Stahlbetonkonstruktion mit tragenden Kalksandstein- mauerwerkswänden und Stahlbetondecken. Nichttragende Innenwände werden in GK ausgebildet. Die Fassaden erhalten eine WDVS-Fassade mit Putz. Kleinflächen seitlich der Fenster erhalten eine Verkleidung aus Blechlamellen im Fassadenton. Fenster werden als weiße Kunststofffenster ausgeführt. Balkongeländer werden in Teilen als geschlossene Brüstungselemente sowie in Teilen aus Stahlprofilen mit zusätzlicher satinierter Verglasung erstellt. Das Gebäude erhält ein Flachdach mit extensiver Dachbegrünung. Das Gebäude wird an eine Fernwärmeversorgung angeschlossen.
A. Allgemeine Projektbeschreibung BF 3
A. Allgemeine Projektbeschreibung BF 4 Das Projekt Quartiersentwicklung Hegholt im Hamburg ist ein Projekt der Richard Ditting GmbH & Co. KG im Auftrag der SAGA Unternehmensgruppe. Baufeld 4 ( LOS 4): Carl-Bremer Ring 23 - 27 in Hamburg Bei der geplanten Bebauung handelt es sich um 3 zeilen-förmige 4-geschossige Wohngebäude. Jede Zeile verfügt über zwei Treppenhäuser die als Sicherheitstreppenhaus jeweils 3 bzw. 4 Wohnungen erschließen. Insgesamt sind 84 Wohneinheiten für 1-4 Personen geplant. Haus 1, Haus 2 und Haus 3 sind baugleich. Die Gebäude sind durch eine gemeinsame Tiefgarage mit 78 PKW-Stellplätzen verbunden. Die Zufahrt erfolgt über den Carl-Bremer-Ring. Die Gebäude erhalten eine Unterkellerung in Form einer weißen Wanne sowie eine Flachgründung mit Sohlplatte, Streifen- und Einzelfundamenten. Das Tragkonzept besteht aus einer Stahlbetonkonstruktion mit tragenden Kalksandsteinmauerwerkswänden und Stahlbetondecken. Nichttragende Innenwände werden in GK ausgebildet. Das Bauwerk erhält eine statische Drainage zur Gewährleistung der Auftriebssicherheit. Die Fassaden werden in den unteren 3 Etagen mit Klinkerriemchen ausgeführt. Die oberste Etage erhält eine WDVS-Fassade mit Putz. Im Übergangsbereich zwischen Riemchen und Putz wird ein Sims mit Blechabdeckung ausgeführt. Kleinflächen seitlich der Fenster erhalten eine Verkleidung aus Blechlamellen. Fenster werden als weiße Kunststofffenster ausgeführt. Balkongeländer werden in Teilen als geschlossene Brüstungselemente sowie in Teilen aus Stahlprofilen mit zusätzlicher satinierter Verglasung erstellt. Jeder Baukörper verfügt über 2 Sicherheitstreppenhäuser und Aufzugsanlagen. Die beiden Gebäude sind durch eine Tiefgarage im UG verbunden. Die Gebäude erhalten Flachdächer mit extensiver Dachbegrünung. Das Tiefgaragendach erhält einen Gründachaufbau. Die Gebäude werden an eine Fernwärmeversorgung angeschlossen.
A. Allgemeine Projektbeschreibung BF 4
B. Allgemeine Vorbemerkungen Bindefrist an das Angebot Der Auftragnehmer ist mit Angebotsabgabe an sein Angebot gebunden, und zwar bis 6 Monate nach Angebotsabgabe.
B. Allgemeine Vorbemerkungen
C. Zusätzliche Vertragsbedingungen Die nachfolgenden Vorbemerkungen sind „Zusätzliche Vertragsbedingungen“ und entsprechend in die EP´s einzurechnen. 1.1          Einwände oder Bedenken gegen das vorliegende Leistungsverzeichnis oder einzelner Positionen auf ihre Vollständigkeit, sach- und fachliche Richtigkeit sind vom Bieter bei Abgabe seines Angebotes in schriftlicher Form vorzubringen und zu begründen. Nachforderungen wegen Unkenntnis bzw. fehlerhafter Leistungsbeschreibung nach Vertragsabschluss werden nicht anerkannt. 1.2.         Die Ausführung der Leistung erfolgt entsprechend der übergebenen Unterlagen sowie sach- und fachgerecht mit Hinweis auf die zum Zeitpunkt des Vertragsabschlusses gültige DIN-Norm. Widersprüche sind im Angebotsanschreiben bekannt zu geben. 1.3.         Sämtliche Leistungen sind einschl. aller Materiallieferungen, deren Transporte, Aussparungen, Rohrdurchführungen, Durchbrüche, Anschlüsse aller An-, Abschluss-, Eck- und sonstiger Profile, sowie aller Nebenleistungen und besonderen Leistungen, mit Befestigungsmaterial in fix und fertiger Arbeit auszuführen bzw. in den EP 's einzubeziehen. 1.4.         An.- und Abtransporte, Auf.- und Abbau, herstellen und vorhalten aller zur Durchführung der Arbeiten erforderlichen Geräte, Maschinen, Bauaufzüge, Gerüste, Leitern sowie sonstige Baustelleneinrichtung etc. sind in die Einheitspreise einzurechnen. 1.5.         Der Einheitspreis ist in Euro anzugeben. Mit den Preisen ist die komplette Leistung abgegolten, falls in den besonderen Hinweisen oder den Leistungsbeschreibungen nichts anderes zum Ausdruck kommt. Das gilt auch für Vermessungsleistungen, soweit sie der Auftragnehmer zur Durchführung seiner Leistungen zu erbringen hat. Sämtliche Nebenleistungen werden nicht gesondert vergütet und gehören ohne Erwähnung zur vertraglichen Leistung. 1.6.         Der Wortlaut des vom Auftraggeber übergebenen Leistungsverzeichnisses ist verbindlich. Das gilt auch dann, wenn der Auftragnehmer selbst nicht bestätigte Gegenangebote oder Kurzfassungen verwendet sowie für Eventual- oder Alternativpositionen. 1.7.         Sind für Leistungen des AN Werkspläne, Montagepläne, Statik, Berechnungen oder sonstige Nachweise zu erstellen, so sind diese vom AN zu erbringen und sind mit den entsprechenden EP´s abgegolten. Dies gilt nur, sofern diese Leistung nicht gesondert im Leistungsverzeichnis erfasst ist. 1.8.         Notwendige Revisionszeichnungen und Prüfunterlagen sind nach Fertigstellung für die entsprechenden Leistungen, vor Abnahme, vom AN dem AG auszuhändigen. 1.9.         Die Verarbeitungsrichtlinien der Hersteller sind grundsätzlich zu beachten, auf Verlangen sind diese dem AG zu übergeben. Bei geschlossenen Arbeitsgängen bzw. Leistungen sind die einzelnen Materialien nur eines Herstellers zu verwenden. 1.10.       In den Preisen sind weiterhin einzukalkulieren die Kosten für das Einrichten, Vorhalten und Räumen der Baustelleneinrichtung, (Tagesunterkünfte, Geräte, Arbeitsbühnen und dgl. Die Beleuchtung der Arbeitsplätze ist Bestandteil der Leistung des Auftragnehmers. Die Transporteinrichtung bis zur Verwendungsstelle. Erforderliche Maßnahmen zur Ausführung der Arbeiten bei Frost, Eis Schnee und Regen. Versicherungen. Schlagen und Bohren von Löchern/Schlitzen für Befestigungen aller Art. Durchführung aller erforderlichen Materialprüfungen. Alle Sicherheitsmaßnahmen gem. den Unfallverhütungsvorschriften. 1.11.       Alle Maße sind vor Ausführungsbeginn auf der Baustelle zu prüfen und zu entnehmen. Sollten bei der Montage von Leistungen, Änderungen erforderlich werden die auf Fehler im Aufmaß beruhen, so haftet der AN für diese Kosten. 1.12.       Es wird eine komplette und abnahmereife Arbeit gefordert, eventuelle Einstellungen bzw. Einregulierungen zur Funktion von Anlagen sind in den EP' s einzurechnen. 1.13.       Alle Räume, Arbeitsplätze und Gerüste sind mindestens zweimal wöchentlich besenrein zu reinigen. 1.14.       Sämtliche Einbauten wie Fenster, Fassaden, Bodenbeläge, Türen, haustechnische Artikel bzw. sonstige Einbauteile sind vor Beschädigungen und Verschmutzungen freizuhalten und eventuell besonders zu schützen. 1.15.       Das Aufstellen und Einrichten von Mannschaftsunterkünften und Lagerplätzen ist mit der örtl. Bauleitung des AG´s abzustimmen. 1.16.       Bei Abweichung der ausgeschriebenen Produkte und Fabrikate hat der AN die Nachweise für die Gleichwertigkeit dem AG vor Ausführung und Bestellung vorzulegen. Die Produkte müssen anhand von Bemusterungen vorgelegt werden und müssen ausdrücklich vom AG und vom Bauherrn freigegeben werden. Wenn der Bieter kein abweichendes Fabrikat benennt, gilt das Leitfabrikat als angeboten.
C. Zusätzliche Vertragsbedingungen
01 Baufeld 1-4
01
Baufeld 1-4
01.01 Stahltüren
01.01
Stahltüren